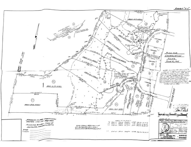
5 Stoneybrook Drive Lot 17Southwick, MA 01077
Due to the health concerns created by Coronavirus we are offering personal 1-1 online video walkthough tours where possible.


Exclusive and impressive private estate lot now available! Proposed driveway crosses a brook leading to two extremely private lots. Refer to 6 Stoneybrook lot #15 (adjacent lot) that can both be sold separately or as a package deal. Bordered by town designated wildlife refuge, this is a one of a kind lot that is very secluded, unique, surrounded by beauty and nature/babbling brook! Enjoy the fresh air, acreage and space! Now is the time to build that new home that you have envisioned! Located in Southwick Massachusetts one mile over the Granby Ct line and near Sofinowski Preserve. Plots plans are attached. Buyer to do due diligence and verify all info.
| 4 months ago | Listing updated with changes from the MLS® | |
| 4 months ago | Listing first seen on site |
The property listing data and information, or the Images, set forth herein were provided to MLS Property Information Network, Inc. from third party sources, including sellers, lessors, landlords, and public records, and were compiled by MLS Property Information Network, Inc. The property listing data and information, and the Images, are for the personal, non-commercial use of consumers having a good faith interest in purchasing, leasing or renting listed properties of the type displayed to them and may not be used for any purpose other than to identify prospective properties which such consumers may have a good faith interest in purchasing, leasing or renting. MLS Property Information Network, Inc. and its subscribers disclaim any and all representations and warranties as to the accuracy of the property listing data and information, or as to the accuracy of any of the Images, set forth herein.
Last checked 2026-02-14 05:24 PM UTC
Did you know? You can invite friends and family to your search. They can join your search, rate and discuss listings with you.